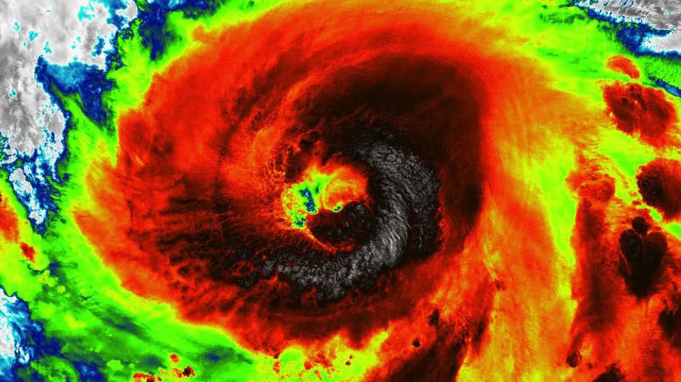
Өмнөд Солонгосын ихэнх нутгийн Хиннамну гэж нэрлээд байгаа хүчтэй хар салхи дайрч, их хэмжээний сүйрэл учруулж гамшгийн хэмжээнд хүрчээ. Хар салхины улмаас хот, дүүргүүдийг холбосон чухал ач холбогдолтой зам, гүүр нурж, цахилгааны шугам эвдэрчээ. Мөн шуурганаар үер бууж, нэг метр гаруй өндөртэй үерлэсний улмаас их хэмжээний хохирол амсаад байгаа бүсэд оршин суудаг олон мянган иргэнийг нүүлгэн шилжүүлээд байгаа юм.

БНСУ-ын эрх баригчдын зүгээс Хиннамну хар салхи Чэжү арлыг дайрч, өмнөд нутгийн Бусан боомт хүртэл үргэлжлэх төлөвтэй байгааг анхааруулж байна. Гамшгийн хэмжээнд хүрч байгаа хар салхины талаар БНСУ-ын Ерөнхий сайд Хан Дук Су “Бидний урьд өмнө нь хэзээ ч тулж байгаагүй аймшигтай хүчтэй хар салхи” гэж тодотгон шуурга, үерт өртөх өндөр эрсдэлтэй бүс нутгийн оршин суугчдын нүүлгэн шилжүүлэхийг уриалжээ. Хиннаму хар салхины сураг гарснаас хойш буюу өнгөрсөн ням гарагаас Чэжү арлын төв хэсэг 94 см өндөр үерлэсэн бороо орж, салхины хурд цагт 155 км-т хүрсэн байна. Эрх баригчдын олон нийтэд хүргэсэн албан мэдээллээр шуурганы улмаас 14 хүн амиа алджээ.

Өчигдөр өдрийн байдлаар аврах албанаас шуурганд өртсөн, өртөх эрсдэлтэй 14 мянган хүнийг нүүхийг зөвлөж, хүчтэй шуурганы үеэр 3463 иргэнийг нүүлгэн шилжүүлж, хоргодон байранд хүргэжээ. Хиннамну хар салхины улмаас үүссэн үерт 11 худалдааны зах автаж, 1400 гаруй автомашин живж, 71 байшин, найман дэлгүүр, дөрвөн орон сууц, 160 орчим хувийн байгууламж усанд автсан аж. Хүчтэй шуурганы улмаас 20 мянга гаруй орон сууц тог, цахилгаангүй болсон байна.

БНСУ-ын Ерөнхийлөгч Юн Сук Ёолын хэвлэлийн төлөөлөгч “Хар салхины эсрэг хариу арга хэмжээ зохион байгуулж, шуурга бүрэн арилах хүртэл урьдчилан сэргийлэх арга хэмжээ авахыг албаныханд даалгасан” тухай мэдэгджээ. Мөн тус улсын Цаг уурын агентлагийн мэдээлснээр Хиннамну хар салхи далай руу чиглэсэн зүүн хойд зүгт цагт 144 км хурдтай байгаа бөгөөд Японы Хоккайдо арлаас баруун хойд зүгт цагт 400 цаг км хүртэл хурдсах төлөвтэй байгаа юм.

Хүчтэй хар салхины аюулаас урьдчилан сэргийлэхийн тулд БНСУ-ын хэмжээнд сургууль, цэцэрлэгийн үйл ажиллагааг зогсоож, онлайнаар явуулж эхэлсэн байна. Мөн гамшгийн үетэй холбоотойгоор ойрын өдрүүдэд товлосон байсан олон улсын нислэгүүдийг цуцалжээ.

Одоогоор БНСУ-ын Аюулгүй байдлын яамнаас зайлшгүй нүүлгэн шилжүүлэх шаардлагатай 4500 өрхийн 3200 орчмыг нүүлгэн шилжүүлсэн. Харин шуурга намжсаны дараагаар гамшгийн дараах нөхөн сэргээлтийн ажлыг хийж эхэлжээ. Улмаар тог, цахилгаангүй болсон 78,890 өрхийн цахилгааныг амжилттай сэргээж, одоо 10,290 өрхийн цахилгааныг сэргээхээр ажиллаж байгаа юм. Мөн уруйн үерээс урьдчилан сэргийлэх арга хэмжээ авч хэрэгжүүлэхэд анхаарч, далан, бэхэлгээ босгож эхэлжээ.

| ТОЙМ: Салхины хурд цагт 155 километрт хүрсэн шуурганы улмаас 14 хүн амиа алдаж, 90 мянган өрх цахилгаангүй болжээ |
|
Х.Баттөмөр 262.5 кг-ыг өргөж Монгол Улсын рекорд амжилт тогтоов
2026-03-20 16:24:58
2026-03-20 13:32:22
BTS хамтлаг Arirang цомгоороо эргэн ирлээ
2026-03-20 13:29:36
Пауэрлифтингийн гурван насны улсын аварга эхэллээ
2026-03-20 13:15:07
Япон Улсад оюутан суралцаж эхэлсний 50 жилийн ойн уулзалт болов
2026-03-20 12:28:51
“ТБИЛИС-2026” ЖҮДО БӨХИЙН “ИХ ДУУЛГА” ТЭМЦЭЭН ЭХЭЛЛЭЭ
2026-03-20 11:31:12
2026-03-20 11:30:00
ЭЦА: Нэгүүн.мн сайтыг шалгаж буй асуудал төрийн алба хаагчийн бичлэгтэй хамаагүй
2026-03-20 10:42:49
2026-03-20 10:15:00
Монгол хэл, бичгийн шалгалтын бүртгэл өнөөдөр хаагдана
2026-03-20 10:06:44
АРХАНГАЙ АЙМАГТ ДАГАВАР ОХИНОО ХӨНӨӨСӨН Д “САНАХГҮЙ БАЙНА, ЭХНЭР МААНЬ ОХИНОО ЗОДДОГ БАЙСАН” ГЭЖ МЭДҮҮЛЖЭЭ
2026-03-20 07:00:40
АЗАРГААС ТЭНГРИ ХҮРТЭЛХ THUNDER-ИЙН ЗАМНАЛ
2026-03-20 07:00:00
Л.ОЮУН-ЭРДЭНЭ, Д.АМАРБАЯСГАЛАН НАР ЕРӨНХИЙЛӨГЧТЭЙ ХЭЛЭЛЦЭЭРИЙН ШИРЭЭНД СУУХ ХҮРТЭЛХ УЛС ТӨРИЙН АКЦ
2026-03-20 07:00:00
Г.АМАРЦЭЦЭГ: МОЗАЙК УРЛАЛЫГ ХАРСАН ХҮМҮҮС “ШИЛЭЭР УРАН ЗУРАГ ЗУРЧХАЖ БАЙГАА ЮМ БИШ ҮҮ” ГЭЖ ГАЙХДАГ
2026-03-20 07:00:00
ҮЛЭГ ГҮРВЭЛИЙН ӨЛГИЙ НУТАГ ӨМНИЙН ГОВИОР
2026-03-20 07:00:00
САХАЛ Ж.БАТ-ЭРДЭНИЙН СААР БАРИМТУУД
2026-03-20 07:00:00
| Монгол Улс, Улаанбаатар хот, Сүхбаатар дүүрэг, VIII хороо, "Ардын эрх"-ийн байр, Гуравдугаар давхарт Эргэлт.мн редакц |
| 7509-1188 |